To the main navigation

71083 Herrenberg, Kocherstraße 7

Beschreibung

Beschreibung

Doppelscheune, bez. 1823

Das Objekt

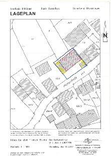
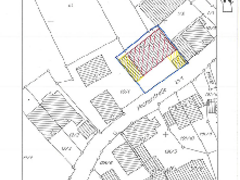
Das Gebäude befindet sich in Herrenberg, Stadtteil Oberjesingen, an der Kocherstraße. Die verkehrstechnische Anbindung zur Autobahn und S-Bahn zum Wirtschaftsraum Stuttgart ist sehr gut. Das Grundstück liegt im alten Ortskern an der verkehrsberuhigten Kocherstraße. Die Infrastruktur des Ortes mit Kindergarten, Grundschule, Bäcker, Metzger und bedingt Lebensmittel ist als gut zu bezeichnen. Weiterführende Schulen sind im Stadtgebiet mit öffentlichen Verkehrsmitteln erreichbar.

Grundstücksgröße:

ca. 470 m2 nach Grundstücksteilung

Wohn-/Nutzfläche:

Gebäudefläche ca. 18,00 x 12,00 m, Gebäudevolumen ca. 2.615 m³ einschl. Gewölbekeller

Baulicher Zustand:

stark sanierungsbedürf

Kaufpreis:

240.000 €

Weitere Informationen

Eingestellt am: 17.01.2018

Kontakt

Kontakt

Rolf Krüger
Donaustraße 16/1
71083 Herrenberg
E-Mail senden

 

Das Angebot liegt im Landkreis Böblingen